マグロ、カツオ、マダイ、ビシアジ、スルメ、イナダ、根魚、五目[2025/12/16] - 平安丸(神奈川県:相模湾:小田原早川)
[ 小田原早川 平安丸 ]
2025/12/16 発信
2025/12/16 発信
【 090−8598−1379 】でも予約可能に!!もちろん、今までの電話番号でも大丈夫ですよ!!
新店舗への移転のお知らせ・・・只今、受け付けを新店舗にて行っていますので、よろしくお願いします!!
【ヤリイカ船】・・・12月17日(水)・19日(金)・20日(土)・21日(日)・22日(月)・24日(水)、ご予約あり、出船します!!他の日も、ご予約受付中です!!ご希望の方は、予約をお願いします!!
15日、今日は出船予定でしたが、急遽、お休みになりました。という事で、次回出船は、明後日17日(水)になります。出船確定です!!皆さん、是非、遊びに来て下さい!!予約をお願いします!!
13日、今日は、南沖〜真鶴沖を狙い、刃物が多く、苦戦気味・・・?! ヤリイカ1〜11杯・22〜40cm!! 今後も期待!!
【イナダ五目船】・・・12月20日(土)、ご予約あり、出船します!!他の日も、ご予約受付中です!!ご希望の方は、予約をお願いします!!
15日、今日も、小田原沖を狙い、イナダ0〜2本・42〜48cm、ヒラメ2枚・ハタ、交じる!! 次回も期待!!
【根魚船】・・・12月17日(水)・21日(日)、ご予約あり、出船します!!他の日も、ご予約受付中です!!ご希望の方は、予約をお願いします!!
14日、今日は、アコウ狙い、二宮沖を狙い、小さいアコウ2匹、スミヤキ0〜4匹、トウジン交じる!! 次回は期待!!
12日、今日は、小田原沖を狙い、キンメ2〜10枚・25〜30cm、クロムツ・シロムツ、交じる!! 次回も期待!!
【マダイ船】・・・12月19日(金)・23日(火)、ご予約あり、出船します!!他の日も、ご予約受付中です!!ご希望の方は、予約をお願いします!!
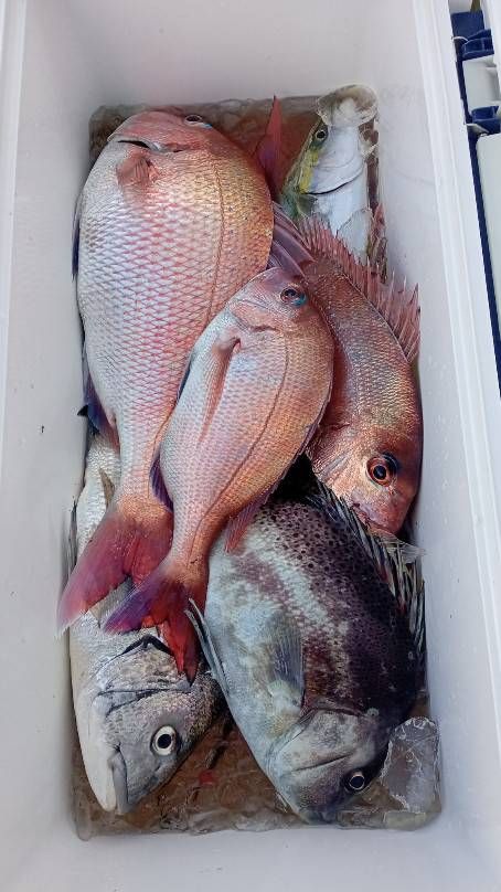
16日、今日はスポット出船。小田原沖を狙い、マダイ船中8枚・0〜3枚・0.5〜2.1kg、ハナダイ・クロダイ・イトヨリダイ・コショウダイ・イナダ、交じる!! 次回も期待!!
【ビシアジ船】・・・12月22日(月)、ご予約あり、出船します!!ご希望の方は、予約をお願いします!!
16日、今日はスポット出船。二宮沖を狙い、良型主体で食い良く、アジ19〜52匹・22〜33cm!! 次回も期待!!
【ビシアジ船】・【マダイ】・【LT五目船】・・・今後は、希望出船になります!!ご希望の方は、予約をお願いします!!
今後の出船予定!! ※予告なく変更する事もありますので、ご了承ください!!()が付いているのは、出船未定です。
2025(令和7年)
12月17日(水)、「ヤリイカ船(満)」・「根魚船」
18日(木)、 定休日
19日(金)、「ヤリイカ船」・「マダイ船」
20日(土)、「ヤリイカ船」・「イナダ五目船」
21日(日)、「ヤリイカ船」・「根魚船」
22日(月)、「ヤリイカ船」・「ビシアジ船」
23日(火)、「マダイ船」・「根魚船」
24日(水)、「ヤリイカ船」・(「根魚船」又は「マダイ船」)
「料金」及び「出船時間」は、下記釣り物の場所を参照!!
※ お客様へお願い
・ お店の開店は4時半前後になります。それ以前にお店の方へ到着された方は、「平安丸駐車場」の方で待機して頂ければと思っています。新港のゲートが開いていれば、新港中で待機して頂いても構いません。受け付け後に、駐車案内させて頂きます。
ーーーーーーーーーーーーーーーーーーーーーーーーーーーーーーーーーーーーーーーーーーーーーーーーーーーーーーーーーーー
16日、今日も朝から良いお天気でした。風は、北寄りの風がそよそよ程度、良い凪の一日でした。今日は、「マダイ船」と「ビシアジ船」が出船しました。
明日12月17日(水)は、「ヤリイカ船(満)」と「根魚船」が出船予定です。両船とも、出船確定です!!皆さん、是非、遊びに来て下さい!!予約をお願いします!!
満席でない場合は、当日予約無しでも十分乗船できます。(当日、予約がない釣り物は出船出来ない場合もありますので、ご了承下さい!!)
★「ヤリイカ船」・・・12月17日(水)・19日(金)・20日(土)・21日(日)・22日(月)・24日(水)、ご予約あり、出船します!!他の日も、ご予約受付中です!!ご希望の方は、予約をお願いします!!
★「イナダ五目船」・・・12月20日(土)、ご予約あり、出船します!!今後も出船予定です!!他の日も、ご予約受付中です!!ご希望の方は、予約をお願いします!!
★「根魚船」・・・12月17日(水)・21日(日)、ご予約あり、出船します!!ご予約受付中です!!ご希望の方は、予約をお願いします!!
★「マダイ船」・・・12月19日(金)・23日(火)、ご予約あり、出船します!!今後も出船予定です!!他の日も、ご予約受付中です!!ご希望の方は、予約をお願いします!!
★「ビシアジ船」・・・12月22日(月)、ご予約あり、出船します!!ご希望の方は、予約をお願いします!!
★「ビシアジ船」・「マダイ船」・「LT五目船」・・・今後は、希望出船になります。ご希望の方は、予約をお願いします!!
「090−8598−1379」 でも予約可能に!!もちろん、今までの電話番号でも大丈夫ですよ!!
★「 船長・船長見習い 」を募集しています!!
未経験者も大歓迎です。35歳迄の海が好き釣りが好き、船長になりたい方、ご連絡お待ちしております!!
【ヤリイカ船】 6時出船 10,000円
プラヅノ11cm、直結・ブランコ オモリ120号 竿釣り
12月17日(水)・19日(金)・20日(土)・21日(日)・22日(月)・24日(水)、ご予約あり、出船します!!他に日も、ご予約受付中です!!皆さん、是非、遊びに来て下さい!!予約をお願いします!!
15日、今日は出船予定でしたが、急遽、お休みになりました。次回出船は、、明後日17日(水)です。皆さん、是非、遊びに来て下さい!!予約をお願いします!!
13日、今日は、南沖〜真鶴沖コースです。小さな反応やエサ的反応、山で流してみたりの一日でした。当たりはあったりなかったりで、当たりはあっても、乗らない、食われる、居なくなる等で、空振りも度々でしたが、小さな当たりでもしっかりとれるかどうかで、釣果に差が出てしまった感がありました。厳しい展開の一日でしたが、なんとか皆さんヤリイカゲットで、帰港出来ました。という事で、今日は、ヤリイカ1〜11杯・22〜40cm、でした。
南沖は12月からになります。それまでは、真鶴沖・二宮沖・東沖を狙います。ご希望の方は、予約をお願いします!!
★ 南沖(初島沖)での操業は・・・。
・ 操業時間 正午まで
・ 休業日 「火曜日」に変更になりました。
ご理解のほど、よろしくお願い致します!
【 イナダ五目船 】 6時半前後出船(少し早めに出船します!!) 10,000円 (撒餌さ、氷1個付き) オキアミ別・オキアミ3kg 1000円 オキアミ1.5kg 500円 で販売しています。
サビキ釣り、片テンビン使用(ウイリーのシャクリ釣り、オキアミエサ釣り)、他、状況により変わります。 オモリ80号
12月20日(土)、ご予約あり、出船します!!他に日も、ご予約受付中です!!ご希望の方は、予約をお願いします!!
15日、今日は出船出来ました。磯方面から見ていきました。イワシの反応が見れず・・・、アオアジの反応はありましたが、食いイマイチ・・・、刃物も食わず・・・。早々に、小田原沖に戻りました。ベイトはアオアジでしたが、イナダやカンパチの顔を見れました。その後、あちこち場所移動するも、ベイトは食うものの、刃物はイマイチ・・・。最後に、港前でヒラメやハタの顔を見れました。という事で、今日は、イナダ0〜2本・42〜48cm、良型カンパチ2本・ヒラメ2枚・ハタ、が交じりました。
次回出船は、12月20日(土)です。皆さん、是非、遊びに来て下さい!!予約をお願いします!!他の日も、ご予約、受付中です!!
【 根魚船 】 5時半前後(集まり次第)日の出前頃 出船 10,000円
12月17日(水)・21日(日)、ご予約あり、出船します!!今後も出船予定です!!ご予約受付中です!!ご希望の方は、予約をお願いします!!
14日、今日はアコウ狙いです。陽気を考え、二宮沖を狙いました。朝一、浅みでスミヤキ主体に当たりがあり、小型を1匹顔見れました。その後、あちこち転々とやるも、当たり寂しく、空振り先行・・・。日中、深みで小型の顔を見れましたが、当たり自体は寂しかったです。最後の流しは、少し浅みを狙いましたが、スミヤキでした。という事で、今日は、アコウ小型2匹、スミヤキ0〜4匹、トウジンが交じりました。次回出船時は、期待したいですね。
12日、今日も出船出来ました。小田原沖を狙いました。朝一は反応見れず・・・、その後、小さ目の反応が見れ、キンメの顔を見れました。今日はクロムツやシロムツも交じっていました。その後、あちこち転々と回り、キンメの顔を見れれば良い様な感じで、当たり自体は寂しくなってしまいました。それでも皆さん、クロムツ・シロムツ混じりで顔を見れ、お土産は出来ました。という事で、今日は、キンメ2〜10枚・25〜30cm、クロムツ・シロムツが交じりました。
キンメ狙いの次回出船は、12月17日(水)です。他の日も、ご予約、受付中です!!ご希望の方は、予約をお願いします!!
今後も出船予定です!!皆さん、是非、遊びに来て下さい!!ご希望の方は、予約をお願いします!!
★ 「アコウ狙い」の時は、大変申し訳ありませんが、乗船料を「12,000円・8名限定」とさせて頂きます。ご理解のほど、よろしくお願いいたします。
道具は、オモリ200号 針数は、5〜10本 リールには最低700m、できれば800m巻いてきてください!!レンタルは有りませんので、ご了承下さい!!
お店側からのお願いです。
予約制の為、連絡なしのキャンセル及びドタキャンは、ご勘弁下さい!!キャンセルの場合は、必ず連絡をお願いします!!(他のお客様をお断りしている場合もありますので・・・)
道具は例年通りです。オモリ150号 針数は6〜10本(キンメ狙い) リールには最低400m、できれば500m巻いてきてください!!
船長からのお願い
釣座・仕掛け等の準備の為、出船時間の30分前(5時頃)にはお店の方へお越し下さい!!道路事情等で出船間際の到着になる場合は、電話連絡をお願いいたします。その日の状況にもよりますが、集まり次第出船したいと思います。
今後は、上記出船予定表を参照。
【 ビシアジ船 】 6時半前後出船(少し早めに出船します!!) 10,000円
12月22日(月)、ご予約あり、出船します!!ご希望の方は、予約をお願いします!!
16日、今日はスポット出船。二宮沖を狙い、朝から食い良かったです。アジの型も良く、釣り応え十分でした。10時頃、食いが悪くなり、小移動。また直ぐに食い出し、ほぼ入れ食い状態に!!しかし、お昼頃、潮流れが変わると、食いが止まり、反応もなくなり、後半は良い所無かったです。それでも、皆さん、お土産は十分出来ましたよ!!という事で、今日は、アジ19〜52匹・22〜33cm、でした。
次回出船は、12月22日(月)です。出船確定です!!ご希望の方は、予約をお願いします!!
今後も出船予定です!!皆さん、是非、遊びに来て下さい!!ご希望の方は、予約をお願いします!!
今後は、上記出船予定表を参照。
【 マダイ船 】 6時半前後出船(少し早めに出船します!!) 10,500円 (オキアミ別・氷1個付き) オキアミ3kg 1000円 オキアミ1.5kg 500円 で販売しています。
ハリス3〜4号 クッション込み9m オモリ80号
12月19日(金)・23日(火)、ご予約あり、出船します!!ご希望の方は、予約をお願いします!!
16日、今日はスポット出船。本日は港前のポイントを中心に攻めました。潮があまり流れない状況でやや渋めでしたが、 マダイがポツポツ顔を出してくれました。釣果は 多い人で3枚。途中には 大きな当たりもあり、手応え十分でしたよ!!
他にもイシダイ、イナダが交じり、合計で約10匹ほど釣れ、楽しめましたよ。という事で、今日は、マダイ船中8枚・0〜3枚・0.5〜2.2kg、ハナダイ・クロダイ・イトヨリダイ・コショウダイ・イナダ、が交じりました。
次回出船は、12月19日(金)です。出船確定です!!ご希望の方は、予約をお願いします!!
今後は、上記出船予定表を参照。
【LT五目船】 7時出船・12時半〜13時沖上がり オキアミ別・氷付き オモリ80号 ウイリーのシャクリ釣りになります。アジをメインに、色々な魚を狙います。
成人男性1人8,500円 成人女性・高校生・中学生1人7,500円 小学生6,000円 (通常乗合で出るサービス券はありません)
各種ペア割りあり 【男女ペア・・・15,000円 父親子ペア(中・高生)・・・15,000円 (母親子ペア(中・高生)・・・14,000円) 父or母親子ペア(小学生)・・・13,000円】
7時出船、12時半〜13時沖上がり!!
今後は、上記出船予定表を参照。
★「膨張式救命胴衣の貸し出し」について
貸し出し用の膨張式救命胴衣を各船に用意しております。ご希望の方は、各船長に申し出てください!!よろしくお願い致します。 現在、救命胴衣の着用が義務化されています!!
★ 現在の釣り物は、上記「今後の出船予定」を参照!!(日によって仕立等、出船できない釣り物がある時もありますので、確認の上、お越し下さい!!)
★バッテリーの事ですが、各船バッテリー電源の配線はしていますが、やはり皆さん、一斉に巻き上がると、電圧が下がってしまうようです。リールによっては巻けなくなることもありますので、出来ればバッテリーは各自持ってきて下さい!!特に、ダイワのリールをお使いの方は、持ってきた方が良いと思いますよ!!特に、ヤリイカ船・根魚船は、持ってきてください!!
★カーナビで来られる方は「小田原市早川1−20−2」で検索してください!!
★釣りビジョンマガジンに「ムギイカ釣り」が掲載されました。ご覧ください!!
「 https://www.fishing-v.jp/premium/882.html 」
※ 下記、「各種カード・電子マネー」が使えるようになりました。
VISA・Mastercard・JCB・AMERICANEXPRESS・DinersClub・DISCOVER
PayPay
※ 「https://www.heianmaru.com」 ぎょさんサイト、更新中!
※ 「https://www.heian-maru.com」 新サイト、更新中!
★平安丸メール会員募集のお知らせ!!
メール会員限定で、釣行に役立つ沖つり情報や乗船にお得なお知らせ?をあなたの携帯電話にメールでお届けします!!
(ご利用には、「釣り船情報ぎょさん」への登録が必要です。もちろん、登録料や月額料は一切かかりません。)
ご登録は、 http://www.gyosan.jp/gyosan/UserRegist.php?so=379 の登録ページへアクセス!!
※こちらの都合により、予告なく配信を中止する場合もございますので、ご了承ください!!
★ メールアドレスが、「heianmaru@jcom.zaq.ne.jp」に変更になりましたのいで、よろしくお願い致します。
2025年
12月のお休みは、4日(木)・11日(木)・18日(木)・25日(木)・31日(水) です。
2026年
1月のお休みは、1日(木)・8日(木)・15日(木)・20日〜22日(火〜木)・29日(木) です。
お問い合わせは、電話・FAX・E−meilでお願いします。
TEL 0465−22−0676(自宅) 0465−23−2907(事務所)
FAX 0465−24−6878
e-meil heianmaru@jcom.zaq.ne.jp
当サイトの各コンテンツのすべてのデータは著作権法によって保護されており、無断で転用、転載、複製することはできません。リンク等をご希望の方は必ず当社にご連絡下さい。
![]()
株式会社ネクスト ( 関東沖釣り情報係り )
Tel: 045-663-4666
Tel: 045-663-4666








